Letecká fotka lesa nebo sadu je krásná věc. Z výšky vypadá krajina úhledně a přehledně. Jenže co když nepotřebujete jen pěkný obrázek na zeď, ale potřebujete tvrdá data? Co když potřebujete přesně vědět, kolik stromů na pozemku stojí, jak jsou vysoké a v jaké jsou kondici?
V KS aerial works nekončíme u hezkých obrázků. Jdeme do hloubky. Tam, kde končí běžná fotografie, začíná naše práce s daty.

Jak to probíhalo v terénu: Zima, mlha a 15 minut akce
Realita leteckých prací není vždy jen o azurové obloze. Tento projekt byl ukázkovým příkladem toho, že přírodě neporučíte.
Vyrazili jsme nadvakrát. První den nás přivítalo typické sychravé počasí – poprchávalo a nad lesem se válela mlha. I když naše technika snese hodně, pro kvalitní fotogrammetrii potřebujeme perfektní viditelnost. Bezpečnost a kvalita dat jsou pro nás na prvním místě, takže jsme akci raději odložili.
Druhý pokus? To už byla jiná káva. Slunce svítilo naplno, ale teploměr ukazoval nekompromisních -4 °C. Zatímco my jsme na zemi „klepali kosu“, naše DJI Matrice 4T se ukázala jako naprostý profesionál. Celou oblast měla nalétanou a naskenovanou za pouhých 15 minut.
Představte si, jak dlouho by v tom mrazu trvalo geodetům nebo lesníkům zaměřit každý strom ručně. My jsme měli hotovo dřív, než nám stihl vychladnout čaj v termosce.
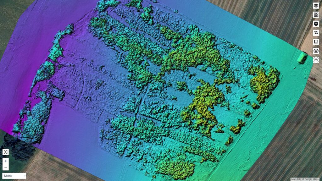
Kouzlo zpracování dat: Když si software poradí se sluncem
Ostré zimní slunce sice potěší fotografa, ale pro tvorbu 3D modelů může být zrádné kvůli dlouhým stínům. Tady se ale ukázala síla moderního softwaru.
Nasbíraná data jsme prohnali přes WebODM. Výsledek nás mile překvapil – software si s kontrastním osvětlením poradil skvěle a vygeneroval čistý a přesný model.

Co přesně klient dostal?
Celý proces zpracování se skládal z těchto kroků:
- Letecké skenování: Rychlý sběr dat s vysokým překryvem snímků.
- Tvorba 3D mračna bodů: Digitální dvojče lesa, kde má každý strom své souřadnice.
- Analýza v QGIS: V tomto analytickém nástroji jsme provedli přesné sčítání stromů.
- Výstup v S-JTSK: Data jsme předali v souřadnicovém systému, se kterým rovnou pracují geodeti a projektanti.



Máte les nebo sad a potřebujete čísla?
Ať už spravujete lesní hospodářství, plánujete kácení, nebo potřebujete pasportizaci ovocného sadu, ruční počítání je minulostí. Získejte přesný přehled o svém majetku bez nutnosti prodírat se křovím nebo mrznout hodiny v terénu.
Ozvěte se nám. Rádi s vámi probereme možnosti zaměření právě vaší lokality.